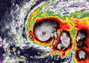
Los habitantes del oriente de Cuba están con el corazón en un puño ante la inminente llegada del potente huracán Melissa a las costas cubanas. Tras tocar tierra en la mañana de este martes en Jamaica con vientos sostenidos de más de 280 kilómetros por hora, está previsto que el ciclón, el más potente de la temporada en el Atlántico de este año y que ha sido definido por la Organización Meteorológica Mundial (OMM) como “la tormenta del siglo”, seguirá su avance hacia territorio cubano entre la noche del martes y la mañana del miércoles.
Melissa desata su furia en Jamaica y avanza hacia Cuba como un huracán categoría 4
El huracán tocó tierra en el sureste de Jamaica con devastadores vientos de 185 mph.








