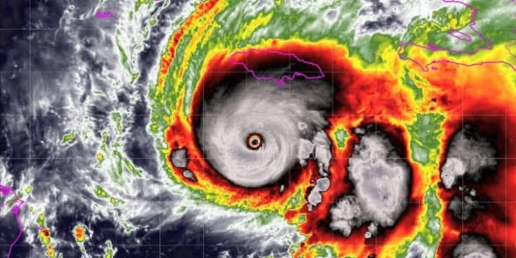
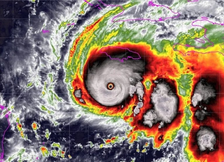
El huracán tocó tierra en el sureste de Jamaica con devastadores vientos de 185 mph.
El fracaso de las ‘revoluciones felices’ en Latinoamérica
El cambio llega a una Bolivia devastada tras 20 años de populismo izquierdista que deja la peor crisis en la...




